物件番号「10856」をお伝えください。
| 価格 | 2,800万円 |
| 坪単価 | 8万円 |
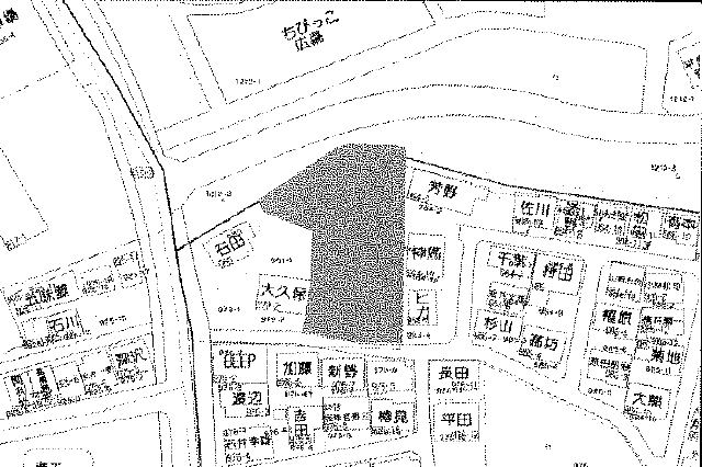
| 所在地 | 上尾市大字平塚 |
| 学区 | / |
| 交通 | 埼玉新都市交通伊奈線(ニューシャトル線) 志久 徒歩26分 |
| 種目 | 売地 |
| 土地面積 | 1,156m² |
| 私道面積 | - |
| 建ぺい率 | 50% |
| 容積率 | 100% |
| 地目 | 山林 |
| 土地権利 | 所有権 |
| 借地料 | - |
| 用途地域 | 無指定 |
| 取引態様 | 仲介 |
| 現況 | 更地 |
| 建築条件 | 条件無 |
| 引渡時期 | 相談 |
| 諸費用 | |
| 接道 | 南 2.7m(幅員) 公道 |
| セットバック | |
| 特色 | 公営水道、プロパンガス、建築条件なし、都市ガス |
| 情報更新日 | 2026年05月09日 |
| 次回更新予定日 | 2026年05月10日 |
物件番号「10856」をお伝えください。