2025年12月16日 12時47分 更新
次回更新予定日:2025年12月17日
有限会社 メディアエステート
上尾市 桶川市 伊奈町 売土地 小中学校10分以内で探す

お急ぎの方はこちらまでお電話ください
0120-213-517
物件番号
写真画像
所在地 価格 坪単価 バス
徒歩
土地面積
私道面積
地目
用途地域
現況
引渡時期
詳細 画像
Bt10568
上尾市原市 280万円 6.47万円
13分
143m2
-

無指定
更地
相談
間取あり写真あり写真あり
Bt9746
上尾市富士見2丁目 1,080万円 36.17万円
13分
98.69m2
 
宅地
第一種低層
上物有
相談
間取あり写真あり写真あり
Bt10629
上尾市上野 1,350万円 41.15万円 15分
108.44m2
 
宅地
第一種住居
更地
相談
間取あり写真あり写真あり
■生活環境/アリオ上尾 2600m 上尾丸山公園 400m
Bt10567
上尾市原市 1,790万円 43.68万円
10分
135.47m2
-
宅地
第一種住居
更地
相談
間取あり写真あり写真あり
Bt9694
上尾市泉台2丁目 1,880万円 59.74万円
23分
104.03m2
 

第一種低層
古屋有り
相談
間取あり写真あり写真あり
Bt10686
上尾市原市 1,880万円 41.48万円
7分
149.8m2
-

第一種住居
造成中
相談
間取あり写真あり写真あり
Bt10601
埼玉県上尾市大谷本郷 1,950万円 56.17万円 5分
9分
114.75m2
 
宅地
第一種住居
更地
相談
間取あり写真あり写真あり
大谷小学校 550m 南中学校 500m ダイソー500m 小山内科病院 850m セブンイレブン 500m
Bt10451
上尾市壱丁目東 1,980万円 50.57万円 11分
129.43m2
 
宅地
第一種低層
古屋有り
相談
間取あり写真あり写真あり
Bt9494
上尾市大字大谷本郷 1,990万円 25.34万円
32分
259.54m2
 
宅地
第一種住居
古屋有り
相談
間取あり写真あり写真あり
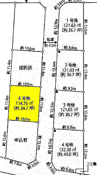
Bt10598
埼玉県上尾市大谷本郷 2,000万円 54.35万円 5分
9分
121.63m2
 
宅地
第一種住居
更地
相談
間取あり写真あり写真あり
大谷小学校 550m 南中学校 500m ダイソー500m 小山内科病院 850m セブンイレブン 500m
Bt10599
埼玉県上尾市大谷本郷 2,000万円 54.35万円 24分
121.63m2
 
宅地
第一種住居
更地
相談
間取あり写真あり写真あり
大谷小学校 550m 南中学校 500m ダイソー500m 小山内科病院 850m セブンイレブン 500m
Bt9297
上尾市本町6丁目 2,080万円 45.46万円
25分
151.23m2
 
宅地
第二種中高
更地
相談
間取あり写真あり写真あり
Bt10597
上尾市大字大谷本郷 2,080万円 56.53万円 24分
121.63m2
 
宅地
第一種住居
更地
相談
間取あり写真あり写真あり
大谷小学校 550m 南中学校 500m ダイソー500m 小山内科病院 850m セブンイレブン 500m
Bt10679
上尾市原市 2,080万円 49.1万円
7分
140.03m2
-

第一種住居
造成中
相談
間取あり写真あり写真あり
Bt10680
上尾市原市 2,080万円 46.9万円
7分
146.58m2
-

第一種住居
造成中
相談
間取あり写真あり写真あり
Bt10681
上尾市原市 2,080万円 46.74万円
7分
147.11m2
-

第一種住居
造成中
相談
間取あり写真あり写真あり
Bt10682
上尾市原市 2,080万円 46.88万円
5分
146.66m2
-

第一種中高
造成中
相談
間取あり写真あり写真あり
Bt10683
上尾市原市 2,080万円 47.25万円
7分
145.5m2
-

第一種住居
造成中
相談
間取あり写真あり写真あり
Bt10684
上尾市原市 2,080万円 47.35万円
7分
145.2m2
-

第一種中高
造成中
相談
間取あり写真あり写真あり
Bt10685
上尾市原市 2,080万円 48.32万円
5分
142.28m2
-

第一種住居
造成中
相談
間取あり写真あり写真あり